Add On Sürüş Eğrisi
Sürüş eğrisini Allplan’da kontrol edin.
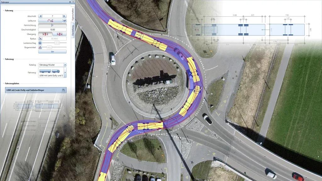
Sürüş Eğrisi
Bir mimar, altyapı planlayıcısı, şehir plancısı, mühendis ve teknik ressam olarak sezgisel kullanımdan ve örneğin rotanın her an ayarlanabilmesinden yararlanabilirsiniz.
İleriye ve geriye doğru sürerek, gerekli araç kaplama eğrilerini ve dolayısıyla gerekli alanı kolayca belirleyebilirsiniz.
Trafiklenebilirliğin doğrulanması böylece doğrudan Allplan’da yapılabilir.
Garajlar ve Otoparklar
Boyutlandırma ve Doğrulama
Olağandışı Nakliyeler
Geçilebilirlik Kontrolü
Olağandışı Yollar
Özel düğüm geometrileri
Dar Sokaklar
Darboğaz Konsepti
Şehir Bölge Planlaması
Danışmanlık
Alternatif Trafik Yönlendirme
Geçici Trafik Yönlendirme
İşlevsel genel bakış
Sürüş İziFahrspur
Araç hareket yolu
Sürüş İzi OluşturFahrspur erzeugen
Yeni rota oluşturma
Araç EditörüFahrzeug-Editor
Araç özelleştirme
Sürüş İzini DeğiştirFahrspur ändern
Rota düzenleme
Lisans GösterLizenz anzeigen
Lisans bilgisi
Video Galerisi
Versiyon 1 için İlk Genel Bakış
ALLPLAN Add-On Fahrspur - Erster Grobüberblick Version 1
ALLPLAN Eklentileri – Çoklu Kurulum
ALLPLAN Add Ons Multi Setup
Endüstriyel Uygulama Örneği
ALLPLAN Add-On Fahrspur - Praxisbeispiel Industrie
Rampa Üzerinde Kaplama Eğrisi Doğrulaması
ALLPLAN Add-On Fahrspur - Rampe mit Schleppkurve prüfen
Ön Sürüm (Geliştirme Aşaması)
ALLPLAN Add-On Fahrspur - Vorab Version
EuroCombi | BOKraft Dönme Dairesi
ALLPLAN Add-On Fahrspur - EuroCombi | BOKraft-Kreis
Kaplama Eğrisi Şeması
ALLPLAN Add-On Fahrspur - Schleppkurven Schema
Öne Çıkan Özellikler
- Araç kütüphane
- Araç türleri: araba, kamyon, yarı römork ve körüklü otobüs
- Çift körüklü tren ve çift körüklü otobüs
- Römorklu mafsallı kamyon ve dolly ve yarı römorklu kamyon
- Direksiyon arabalı ve yarı römorklu kamyon
- İnşaat araçları: Çimento karıştırıcıları ve damperli kamyonlar
- Düzenlenebilir kulplu dinamik araba yolu
- Etkileşimli önizleme ile rota hesaplama
- Önceden tanımlanmış bir eksen/yol boyunca sürüş
- Direksiyon kontrolü dahil ileri ve geri sürüş
- Araç ana hatları, lastikler ve zarflar
- Araç önü ve araç arkası için eğriler
- Ön ve arka aks için eğriler
- Araca olan mesafe için eğriler
- Dingil mesafesi eğrileri
- Özel araçlar için araç editörü
Araç Kataloğu

Galeri

Sürüş Eğrisi

Sürüş Eğrisi

Sürüş Eğrisi

Sürüş Eğrisi

Sürüş Eğrisi

Sürüş Eğrisi

Sürüş Eğrisi

Sürüş Eğrisi

Sürüş Eğrisi

Sürüş Eğrisi

Sürüş Eğrisi

Sürüş Eğrisi

Sürüş Eğrisi

Sürüş Eğrisi

Sürüş Eğrisi

Sürüş Eğrisi

Sürüş Eğrisi

Sürüş Eğrisi

Sürüş Eğrisi

Sürüş Eğrisi

Sürüş Eğrisi

Sürüş Eğrisi

Sürüş Eğrisi
